[Larerannis sp] Geometridae 3

Avatar de l’utilisateur
Brigitte62
Messages : 15096
Inscription : mer. 9 juil. 2008 19:02
Localisation : Pas-de-Calais

[Larerannis sp] Geometridae 3

Message par Brigitte62 » lun. 22 déc. 2008 17:11

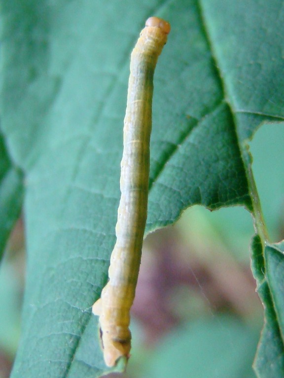
la photo a été pris toujours en forêt de Phalempin (dept 59)
le 18/05/2008
taille : 2 cm

merci d'avance
amicalement
Brigitte
Pièces jointes
2 cm.JPG
DSC07348.JPG

Avatar de l’utilisateur
Lépi-net
Messages : 1445
Inscription : mer. 5 nov. 2008 21:31
Localisation : Yvelines (78)
Contact :

Re: Geometridae 3

Message par Lépi-net » mar. 23 déc. 2008 22:03

Larerannis sp. ?

Avatar de l’utilisateur
Brigitte62
Messages : 15096
Inscription : mer. 9 juil. 2008 19:02
Localisation : Pas-de-Calais

Re: Geometridae 3

Message par Brigitte62 » mar. 23 déc. 2008 22:26

Bonjour Philippe

C'est vrai qu'elle ressemble aux chenilles de ce genre :D
je ne pense pas que l'on va pouvoir aller plus loin que le sp. :( (j'aime pas les sp. :lol: )

est ce que je la saisie sur le site sous Larerannis sp. ?

amicalement
Brigitte

Répondre