Bonjour
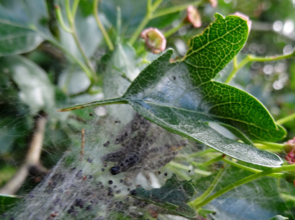
Cet après-midi j'ai trouvé beaucoup de larves de Yponomeuta cagnagella sur euonymus, mais celles ci sont sur aubépine, et me semble un peu différentes. Est-ce qu'elles sont Y. padella ?
Merci d'avance
Jenny
[Yponomeuta sp. cf. padella] Larve1 sur aubépine
-
- Messages : 2468
- Inscription : mer. 13 août 2014 22:35
- Localisation : Rhône, Lissieu (69380)
- JeanJacques
- Modérateur
- Messages : 25279
- Inscription : sam. 5 juil. 2008 19:48
- Localisation : Sillans-la-Cascade (83)
Re: Larve1 St Germain au Mont d'Or sur aubépine
En principe, oui. Voir ici : https://www.insecte.org/forum/viewtopic.php?f=2&t=26644 

Jean-Jacques 
